Catha edulis |
|||||
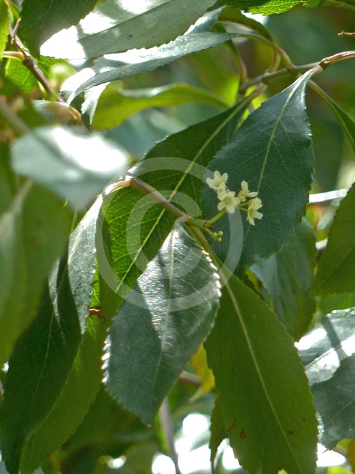
Plant type: deciduous tree Hardiness zones: 10-12 Sunlight: hot overhead sun Soil Moisture: dry between watering to constantly moist Soil: ordinary soil, enriched soil, mildly acidic to mildly alkaline |
|
|||||||
|
| ||||||||
Flowers: green-white Flowering Time: early spring to late spring Leaves: mid green; red new leaves; yellow-green in autumn | ||||||||
![]() |
![]() | |||||||
![]() |
Tell our Plant Selector what you want & like and we'll search thousands of plant profiles for compatible matches
Plant of the Day
Lesser Diplolaena
Plant type: evergreen shrub
H: 2m W: 2m
Sunlight: hot overhead sun to warm low sun
Special Offers

Fast Facts
annuals & bulbs
Annuals are hungry for resources to rush them through their short life cycle. Most need to be well-fed and watered to perform to top garden standards.
Recently added articles
Most viewed articles
Get the Plant Selector's full features plus news, forums & competitions. Sign up, it's free.
Click here for more







